交通事故と脊椎脱臼とマイクロチップ。
2012年11月15日
変わりやすい天候が続いていますね。急な気温の変化で体調を崩すことが多くなっています。
人間も動物も注意が必要な季節です。
半月前には突然の雷鳴や豪雨がありました。
そんなある日の夜間診療の依頼です・・・
「交通事故に遭った犬を保護したので診察して欲しい。」との事でした。
通常、飼い主不明の動物は診察していませんが、今回は保護された方が全責任を請け負うとの約束で診察を承りました。
また警察にも連絡をして下さったようでした。(しかし警察の方は犬を見に来ただけで帰ってしまったそうです。)
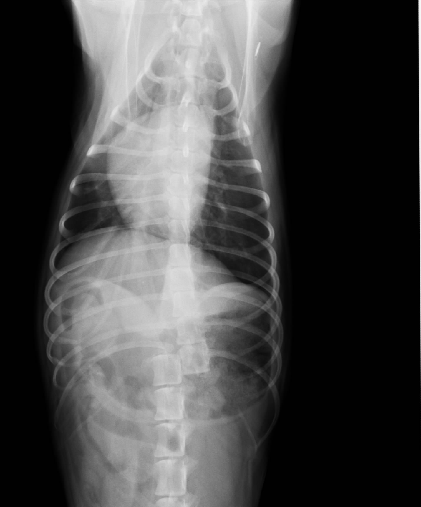
来院時、大きな外傷はありませんでしたが、両方の後ろ足が麻痺していました。まさか!と思いましたが、各種検査の結果、脊椎(背骨)が途中で脱臼していました。(画像をクリックで拡大になります。)
つまり脊髄神経が途中で切断されてしまっていると言うことになります。よって後ろ足(下半身)は回復の見込みはきわめて低い状態ということになります。
幸いなことに、レントゲンを撮影時にマイクロチップを発見!リーダーで読み取り、ネットで本来の飼い主様を探し出すことに成功。
どうやら飼い主様は犬がいなくなった事に気づいていなかったようです。まぁ夜中なので仕方ないですが・・・。
犬は雷に驚き家を飛び出してしまったようです。
飼い主様にご来院していただき、検査の結果やこれから考えられることについてお話ししました。
次回に続く。
夜間緊急対応 日曜祝日診察 日進市 アニウェル犬と猫の病院 渡邉でした。








